Ir para o conteúdo
OVértice Portal
  • Home
  • QUEM SOMOS
  • Amazonas
  • Brasil
  • Mundo
  • Famosos
  • Agenda Cultural
  • Colunistas
  • Idas&Vindas
  • Contate-nos
  • Página inicial
  • OVertice Portal
  • Página 19

Autor: OVertice Portal

Mini T-rex? Cientistas desvendam mistério por trás de fóssil de 2006
  • Curiosidades

Mini T-rex? Cientistas desvendam mistério por trás de fóssil de 2006

  • OVertice Portal
  • 31/10/2025
  • 0
TCE-AM terá 125 processos em julgamento na sessão da próxima segunda-feira (03)
  • Amazonas

TCE-AM terá 125 processos em julgamento na sessão da próxima segunda-feira (03)

  • OVertice Portal
  • 31/10/2025
  • 0
Terra está se partindo: cientistas registram, pela primeira vez, uma placa tectônica se rompendo sob o oceano
  • Mundo

Terra está se partindo: cientistas registram, pela primeira vez, uma placa tectônica se rompendo sob o oceano

  • OVertice Portal
  • 31/10/2025
  • 0
Portais de notícia reclamam da falta de organização e atraso em acordos financeiros de figuras públicas e equipes de gestão: Maria do Carmo se encontra entre os mais comentados
  • Últimas Notícias

Portais de notícia reclamam da falta de organização e atraso em acordos financeiros de figuras públicas e equipes de gestão: Maria do Carmo se encontra entre os mais comentados

  • OVertice Portal
  • 31/10/2025
  • 0
China manda seu astronauta mais jovem ao espaço
  • Mundo

China manda seu astronauta mais jovem ao espaço

  • OVertice Portal
  • 30/10/2025
  • 0
Moléculas básicas para a origem da vida são achadas fora da Via Láctea
  • Curiosidades

Moléculas básicas para a origem da vida são achadas fora da Via Láctea

  • OVertice Portal
  • 30/10/2025
  • 0
Crise climática avança mais que medidas de combate, afirma relatório
  • Mundo

Crise climática avança mais que medidas de combate, afirma relatório

  • OVertice Portal
  • 30/10/2025
  • 0
TCE-AM destaca decisão do STF que fortalece a transparência no controle das emendas parlamentares
  • Amazonas

TCE-AM destaca decisão do STF que fortalece a transparência no controle das emendas parlamentares

  • OVertice Portal
  • 30/10/2025
  • 0
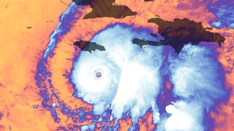
Imagem de satélite mostra furacão Melissa avançando pelo Caribe
  • Mundo

Imagem de satélite mostra furacão Melissa avançando pelo Caribe

  • OVertice Portal
  • 29/10/2025
  • 0
Vacina contra herpes-zóster pode ajudar a prevenir demência, indica estudo
  • Health

Vacina contra herpes-zóster pode ajudar a prevenir demência, indica estudo

  • OVertice Portal
  • 29/10/2025
  • 0

Paginação de posts

Anterior 1 … 17 18 19 20 21 … 47 Próximo

Procurar

Siga-nos

  • instagram
  • facebook-alt
QUEM SOMOS

QUEM SOMOS

Toda informação precisa de um vértice. Esteja pronto para conhecer um portal que possui personalidade.

Overtice Portal

Parceiro recomendado

Espaço publicitário

Postagem recente

Blitz do TCE vistoria escolas históricas de Manaus

Blitz do TCE vistoria escolas históricas de Manaus

  • 18/04/2026
Prefeitura de Barreirinha inicia Projeto Waikiru Wará para fortalecer educação indígena inclusiva

Prefeitura de Barreirinha inicia Projeto Waikiru Wará para fortalecer educação indígena inclusiva

  • 18/04/2026
Débora Menezes percorre municípios do interior ao lado de comitiva do PL no Purus e Juruá

Débora Menezes percorre municípios do interior ao lado de comitiva do PL no Purus e Juruá

  • 18/04/2026

Siga-nos

  • instagram

Mais comentados

Blitz do TCE vistoria escolas históricas de Manaus

Blitz do TCE vistoria escolas históricas de Manaus

  • 18/04/2026
Conectados em Uberlândia: A Revolução da Internet de Alta Velocidade

Conectados em Uberlândia: A Revolução da Internet de Alta Velocidade

  • 28/09/2023
Manaus e a Música: Cenário Musical Vibrante

Manaus e a Música: Cenário Musical Vibrante

  • 28/09/2023

Copyrights © 2018. All rights reserved.